family CERAMBYCIDAE Latreille, 1802
subfamily CERAMBYCINAE Latreille, 1802
tribe Callidiini Kirby, 1837
genus Phymatodes Mulsant, 1839
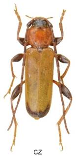
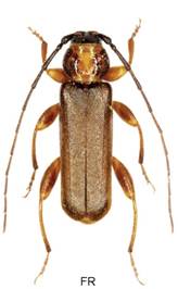
Phymatodes testaceus (Linnaeus, 1758)
subgenus Phymatodes Mulsant, 1839

















Velikost 6-15 mm.
Bionomie. Listnaté lesy všech typů, sklady kulatiny a neodkorněného řeziva, palivo v domácnostech. Vývoj pod kůrou a v kůře čerstvě i před léty odumřelých listnatých dřevin. Kuklí se v hákovité komůrce ve dřevě, vzácně pod kůrou nebo v kůře. Napadá větve i kmeny libovolných průměrů. Skladovaný suchý materál, pokud na něm drží kůra, napadá i řadu let za sebou. Doba vývoje dva roky, udává se i jednoletá. Přezimuje jako larva. - Imaga se vyskytují od konce V. do VII., vzácně VIII. Maximum prvá polovina VI. Noční druh, často přilétá na světlo. Přes den je ukrytý ve štěrbinách, pod dřívím, pod odchlípnutou kůrou apod., nenavštěvuje květy.
Živné rostliny - Především Quercus, dále Fagus, Carpinus, Ulmus, Prunus, Pyrus, Sorbus torminalis, Acer, dále Crataegus a Castanea (Řecko), udává se také Corylus, Salix, Fraxinus.
Variabilita. Velmi variabilní druh ve zbarvení krovek, štítu i nohou. Krovky mohou být modré, žluté, začernalé, nebo černé, štíty červené až černé, stejně tak nohy. Vše v různých kombinacích. Tato variabilita je silně ovlivněna take geograficky.
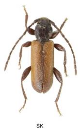
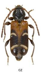
Phymatodes pusillus (Fabricius, 1787)
subgenus Phymatoderus Reitter, 1913
Phymatodes pusillus pusillus (Fabricius, 1787)

Phymatodes pusillus barbipes (Küster, 1847)









Phymatodes pusillus inopinatus (Sláma, 2010)

Phymatodes pusillus rufipennis (Starck, 1889)

Velikost 5-10 mm.
Bionomie. Původní dubové porosty, lesostepi. Vývoj ve slabších větvích o průměru 2–6 cm stojících odumírajících dubů. Často napadá větve odumírající vlivem žíru jiných brouků, zejména Coroebus. Larva vyžírá chodbičky pod kůrou, které zasahují více nebo méně hluboko také do povrchové vrstvy běle. Ke kuklení se zavrtává do dřeva, kde si vyhlodá mělkou kukelní komůrku. Ta může být hákovitá, šikmá ke středu i pouze povrchová blízko pod kůrou. Přezimování jsem zjistil pouze ve stadiu larvy. Kuklení a líhnutí imag brzy na jaře. Výletové otvory jsou protáhle oválné. Demelt (1966) uvádí přezimování ve stadiu kukly nebo imaga. Doba vývoje u brouků chovaných doma (ssp. pusillus) 1 rok, v přírodě i dva roky. U ssp. inopinatuss dovezené z Řecka dva roky. - Imaga se venku vyskytují od V. do poloviny VI., (22.4.1962 Štúrovo, Pospíšil lgt.; 22.7.1989 Zvolen, Týr lgt.), na větvích oslabených stromů a klestu.
Živné rostliny - Spolehlivě zjištěn pouze v Quercus, udává se též Castanea..
Variabilita. Nominální forma je málo variabilní jen v odstínu tmavé barvy, ssp. barbipes mívá různě tvarované ramenní skvrny, krovky bývají světleji zbarvené, žlutohnědé až téměř žluté.
Ve střední Evropě se vyskytují dvě subspecie, nominální ssp.pusillus a ssp. barbipes Küster, 1847. Přibližně na západ od Čech je to nominální forma a od Moravy na východ a jih ssp. barbipes. V Polsku se společně vyskytují obě formy. U subspecií je obvyklé, že v místě styku se vyskytují přechodové, nebo obě formy.
Phymatodes lividus (Rossi, 1794)
subgenus Phymatoderus Reitter, 1913




Velikost 5-12 mm.
Bionomie. Vývoj podobný jako u Phymatodes testaceus. Sám jsem ho zjistil jen v odumřelých větvích slabších průměrů 2-6 cm u stojících stromů. Larvy vyžírají požerky pod kůrou a kuklí se v hákovité komůrce nehluboko ve dřevě. Samička při nedostatku jiného vhodného materiálu klade vajíčka do stejného dřeva, takže ve stejném dřevě se může vyvíjet i více generací za sebou. Napadení může být tak silné, že larvy dřevo zcela rozežerou (Francie). Podle sdělení P. Bergera žije ve větvích, které odumřely po napadení Coroebus florentinus (Herbst). - Výskyt imag se udává od IV. do VII. Noční druh.
Živné rostliny - Quercus (Francie), dále je uváděn Ulmus, Fagus, Aesculus, Castanea, Salix.
Phymatodes puncticollis Mulsant, 1862
subgenus Phymatoderus Reitter, 1913



Velikost 7-13 mm.
V Evropě se vyskytuje v jihovýchodní oblasti. Nedávno byl nalezen na Slovensku. Vyvíjí se pod kůrou dubů (Quercus). Imaga se vyskytují od V-VII.
Phymatodes glabratus (Charpentier, 1825)
subgenus Phymatoderus Reitter, 1913


Velikost 5-9 mm.
Bionomie. Převážně bývalé i nynější pastviny, na kterých se Juniperus přirozeně zmlazuje, méně často lesní porosty. Samička klade vajíčka do oslabených odumírajících větví nebo kmínků Juniperus. Vývoj larev pod kůrou, kuklí se ve dřevě. Přezimování jsem zjistil výhradně ve stadiu larvy (Demelt uvádí většinou jako kukly). Vývoj v domácích chovech byl jednoletý. Sobota (1979) uvádí vývoj dvouletý a přezimování ve stadiu imag i larev. - Doba venkovního výskytu imag IV.-V.
Živné rostliny - Vypěstován a uváděn téměř výhradně z Juniperus. Plavilščikov (1940) uvádí též Pinus pumilio (kleč), Sama (1988) uvádí ještě Cupressus a o správnosti obou údajů pochybuje. Na jaře v roce 1977 jsem na lesní loučce nad obcí Hlivištia (Vihorlat) vyřízl ze suché spodní větve (o průměru 2 cm) živého soliterního Quercus tři malé larvy, ze kterých se mi podařilo dochovat jedno imago Phymatodes glabratus ! Na uvedené větvi byly pouze tři navzájem podobné požerky s larvami.
Phymatodes fasciatus (Villers, 1789)
subgenus Paraphymatodes Plavilsthikov, 1934

Velikost 5-10 mm.
Bionomie. Pouze částečně obhospodařované vinice, na kterých se výhonky vinné révy odřezávají a ponechávají se na hromadách nespálené. Vývoj ve větévkách Vitis. Samičky kladou vajíčka do odřezaných větévek, které se obvykle vyhazují na hromady, nebo jsou vázány do otepí. Larvy žerou pod kůrou i ve dřevě, kuklí se ve dřevě. Doba vývoje jeden rok. Výskyt imag V. do poloviny VI.
Živné rostliny - Ve střední Evropě je znám pouze z Vitis. Demelt (1966) uvádí z jižní Evropy též Quercus.
Phymatodes rufipes rufipes (Fabricius, 1777)
subgenus Phymatodellus Reitter, 1913


Velikost 5-9 mm.
Bionomie. Dle Demelta (1966) vývoj v odumřelých větvích podobně jako P. pusillus, generace asi jednoletá. Vávra ho vychoval ze suché koncové větvičky Corylus. – Výskyt imag V.-VI., max. v V. Zdržují se v korunách vysokých stromů i nízkých keřů. Při chemickém ošetřování dubových porostů (starých 60-100 let) insekticidy na Hodonínsku (1957) jsem nalezl mnoho uhynulých imag opadaných z vysokých korun na kontrolní trusníky. Imaga za slunečného počasí pobíhají také po větvích Crataegus, na dubovém klestu apod.
Živné rostliny - Pyrus (Pospěch 1979); Corylus (Vávra); Demelt (1966) uvádí Crataegus a Prunus spinosa; Sama (1988) cituje Prunus a Rubus (Müller); Quercus pubescent (Sturani); Juglans.
Phymatodes alni alni (Linnaeus, 1767)
subgenus Poecilium Fairmaire, 1864


Velikost 4-6 mm.
Bionomie. Listnaté lesy nižších a středních poloh. Vývoj pod kůrou slabých větví oslabených, usychajících nebo pokácených stromů, v odřezaných větvích po těžbě. Larva vyžírá pod kůrou a v povrchové vrstvě dřeva převážně podélné chodby a ke kuklení šikmou, hákovitou komůrku mělce ve dřevě. Napadá větve o průměru 1-3 cm, vzácně silnější. Přezimuje jako larva. Jednoletý vývoj. - Imaga se vyskytují od V. do VI. na usychajících i ležících větvích a slabším rovnaném dříví, zřídka na květech na př. Crataegus.
Živné rostliny - Nejčastěji Quercus, dále Tilia; Alnus, Ulmus, Fraxinus, Acer, Castanea, Rosa.
Variabilita. Červenožlutá třetina na bázi krovek může být vzácně začernalá až černá.
Phymatodes testaceus (Linnaeus, 1758) CZ Fagus



CZ Quercus

Napadení okrajú neodkorněného dubového prkna

Phymatodes pusillus (Fabricius, 1787)


Phymatodes glabratus Charpentier, 1825 SK Juniperus


Phymatodes alni alni Linnaeus, 1767 CZ Quercus

