family CERAMBYCIDAE Latreille, 1802
subfamily CERAMBYCINAE Latreille, 1802
tribe Cerambycini Latreille, 1802
genus Cerambyx Linnaeus, 1758
Cerambyx cerdo Linnaeus, 1758
Cerambyx cerdo cerdo Linnaeus, 1758
|
CZ |
CZ |
CZ |
CZ |
CZ |
|
|
|
|
|
|
Cerambyx cerdo cerdo Linnaeus, 1758 - m. laevicollis Heyrovský
Tato morpha dnes není uznávána, ale mnoho imag pouze z Třeboňska se výrazně liší lesklým štítem. Cerambyx cerdo m. laevicollis Heyrovský byla popsána podle mých kusů z Třeboňska a sbírána tam řadou dalších entomologů. Pojem morpha dnes není uznáván, ale zde se jedná o velmi výraznou formu velmi odlišnou výrazně hladkým lesklým štítem. Ve sbírkách jsem viděl i kusy s lokalitou Štúrovo. Slovenskou lokalitu považuji za nepravdivou, protože jsem tomuto a dalším entomologům dal více nepreparovaných kusů jen s udáním lokality Třeboň a není mi známo, že by tato forma byla spolehlivě na některé další lokalitě nalezena. U Štúrova, kde býval tento druh velmi hojný, jsem uvedenou formu nikdy nenašel.
|
CZ Třeboň |
CZ Třeboň |
CZ Třeboň |
CZ Třeboň |
CZ Třeboň |
|
|
|
|
|
|
Cerambyx cerdo acuminatus Motschulsky, 1853
Subspecie acuminatus se velmi často uvádí také z Bulharska, částečně se tam ale vyskytují imaga, která odpovídají nominální subspecii.




Cerambyx cerdo klinzigi Podaný, 1964

Tato ssp. je v Catalogus uvedena jako synonymum k nominální formě. Nepřipadá mi to zcela správné.
Foto NM Bratislava
Cerambyx cerdo pfisteri Stierlin, 1864
Tato ssp. je v Catalogus vedena jako synonymum k nominální formě. Platnost této ssp. je často sporná, ale na druhé straně se v jižní Evropě místy převažují imaga plně odpovídající původnímu popisu.





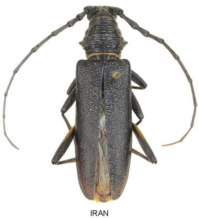
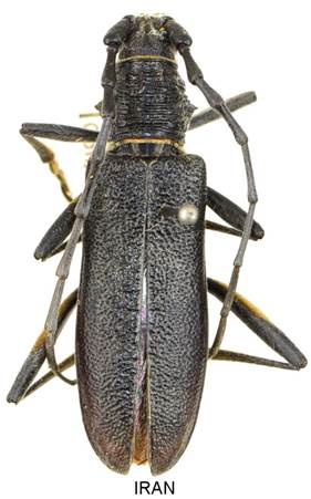
Cerambyx cerdo iranicus Heyrovský, 1951
Tato ssp. je v Catalogus uvedena jako synonymum k nominální formě. Je to ale výrazná subspecie (možná i specie).




Cerambyx cerdo mirbecki P. H. Lucas, 1842




Velikost 24-62 mm.
Bionomie. Stromové aleje, soliterní stromy na lukách nebo pastvinách, prosvětlené porosty a v pařeziny. Vývoj larev pod kůrou a později i ve dřevě živých, přednostně velmi starých stromů, které již mají menší obranyschopnost. Napadány bývají jak dolní části stromů, tak i silné větve vysoko v korunách. Podle údajů v literatuře (např. Neumann, 1985) se larvy prvé dva roky vyvíjejí v lýku a běli, třetím rokem se zažírají hluboko do dřeva a vytvoří si hákovitou kukelní komůrku. Po uzavření chodby se larvy zakuklí. Kukelní stadium trvá cca 4-6 týdnů. Brouci vylíhlí do konce října přezimují a prožírají se ven příštím rokem. Celková doba vývoje se udává různě 3-5 let. - Imaga se vyskytují vzácně od konce V., jinak od VI. do VIII., maximum výskytu od poloviny VI. do poloviny VII. Imaga sedávají na stromech, často na vytékající míze, byla pozorována i na ovoci. Přestože bývají často pozorována i ve dne, jedná se o soumračný až noční druh.
Živné rostliny. V naprosté převaze Quercus, vzácně Ulmus, Juglans regia, na jihu Evropy často v Castanea, uváděny jsou též Fraxinus, Salix.
Variabilita. Z území mimo střední Evropu je popsáno několik poddruhů, které se liší skulpturou štítu.
Cerambyx welensii (Küster, 1845)
subgenus Cerambyx Linnaeus, 1758






Cerambyx welensii (šedě chloupkované krovky)
|
MAROKO |
|
|
|
|
Velikost 25-65 mm.
Bionomie. Okraje dubových porostů, prosvětlené doubravy a lesostepi. Vývoj pod kůrou a ve dřevě živých kmenů nebo silnějších větví Quercus. Larvy prožírají chodby pod kůrou i vstupují hluboko do dřeva. Na Slovensku ve slabších kmenech „pařezin“ o průměru 15-20 cm. V jižní Evropě obvykle též v mohutných prastarých dubech různých druhů Quercus. Podle Helrigla (1967) přezimují mladá imaga v kukelních komůrkách. Noční a večerní druh. - Imaga se vyskytují v VI.-VII., maximum výskytu od poloviny VI. do poloviny VII. Ve dne jsou imaga často ukryta ve výletových chodbách, večer a v noci pobíhají po povrchu stromů. Přilétají i na světlo.
Živné rostliny - Quercus (různé druhy).
Cerambyx miles Bonelli, 1812
subgenus Cerambyx Linnaeus, 1758




Velikost 26-49 mm.
Bionomie. Na Slovensku nalezen v prosvětlených dubových, především Březinových porostech, stejně tak jsem ho nalézal ve Francii. V Řecku se nachází v lesostepních dubových porostech, břehových porostech různého složení i v zahradách. Vývoj pod kůrou a ve dřevě živých stromů. Samička klade vajíčka do kmenů, silnějších větví i kořenových náběhů. Larvy vyžírají chodby pod kůrou i poměrně hluboko ve dřevě. Napadená místa jsou často nápadná podle vyhazované drti z požerků. Obvykle se ve stejném stromě vyvíjí více generací. - Výskyt imag VI.-VII. Večerní a noční druh, ale imaga se často i ve dne pohybují po kmenech, někdy i létají.
Živné rostliny - Vývoj v Quercus, udává se také Prunus sp., Prunus avium, Malus, Crataegus, Carpinus. V Turecku jsem zjistil vývoj v Prunus insititia (slivoň), Armeniaca a Persica, uvádí se též Juglans, Fraxinus, Castanea.
Cerambyx carinatus (Küster, 1845)
subgenus Cerambyx Linnaeus, 1758

Velikost 30-42 mm.
Bionomie. Teplomilný druh, v Evropě se vyskytuje zejména na Balkánu. Ovocné sady, zahrady. Larvy se vyvíjejí pod kůrou a pak vstupují i do dřeva. Vývoj nejméně dvouletý. Imaga na živných dřevinách a někdy také na květech např. Sorbus. VI-VIII.
Živné rostliny. Především ovocné stromy, Amygdalus, Prunus, Pirus, Malus, Ceratonia.
Cerambyx kodymi Sláma 2015
subgenus Cerambyx Linnaeus, 1758


Cerambyx dux (Falderman, 1837)
subgenus Cerambyx Linnaeus, 1758






Cerambyx prope dux (Falderman, 1837)
subgenus Cerambyx Linnaeus, 1758

Cerambyx heinzianus Demelt, 1976
subgenus Cerambyx Linnaeus, 1758






Cerambyx nodulosus Germar, 1817
subgenus Cerambyx Linnaeus, 1758
Cerambyx nodulosus nodulosus Germar, 1817

Cerambyx nodulosus hermoniacus Sláma 2015
Cerambyx nodulosus ssp. ?

Cerambyx scopolii Fuessly, 1775
subgenus Microcerambyx Mikšič & Georgijevic, 1973
|
|
|
|
|
CZ
FR
CZ GRK
Velikost 17-28 mm.
Bionomie. Druh listnatých lesů, parků, zahrad, ovocných sadů. Samičky kladou vajíčka do oslabených stojících stromů i pokáceného dřeva, do kmenů i větví od průměru několika cm do neomezené tloušťky. Larvy zpočátku vyžírají chodby pod kůrou, později se zavrtávají do dřeva, kde pokračují v žíru, často se chodby vracejí k povrchu dřeva. Napadené dříví je obvykle možné poznat podle vyhazovaných pilin z chodeb. Vývoj se udává dvouletý, podle mého zjištění pravděpodobně i tříletý. Podle Krupky (1951) se brouci líhnou od VIII. do X. a přezimují v kukelní komůrce. Ven vyletují až v V. - Imaga se vyskytují od V.do VII. na dříví i na různých květech, zejména za slunečného počasí.
Živné rostliny - Cerasus, Quercus, Carpinus, Betula, Fagus, Pyrus, Prunus, Sorbus, Ulmus, Corylus, Juglans; Acer campestre, Malus, Castanea.
Cerambyx multiplicatus Motschulsky,1860
subgenus Microcerambyx Mikšič & Georgijevic, 1973


Cerambyx cerdo cerdo Linnaeus, 1758 CZ Quercus


Cerambyx scopolii Fuessly, 1775 CZ Quercus
